Signed in as:
filler@godaddy.com
Signed in as:
filler@godaddy.com
Construction anticipated to begin mid-to-late 2025.
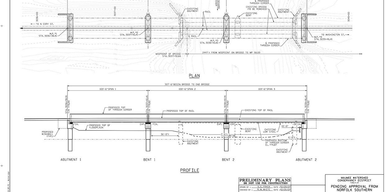
The Norfolk Southern Railroad Bridge crosses the Blanchard River west of Cory Street. The current bridge was constructed in the early 1900’s and serves as a barrier to waterflow when the river level rises above the riverbank. The project proposes to build a new bridge which will raise the bottom of the bridge and increase the span of the bridge from 150 ft to 300 ft and to excavate a floodplain bench beneath the new span on the north bank of the river. The design is currently complete and under final review by Norfolk Southern.
The proposed floodplain bench will continue the bench excavated as part of the Hydraulic Improvements Phase I Project. This project is expected to lower flood levels by 0.3 ft at Main Street in a 100-year storm event.
The estimated final cost for this project is approximately $16,700,00. The funding will be covered by a combination of funds from the 0.25% Hancock County sales tax for flood mitigation, a Federal Rail Administration (FRA) RAISE Grant, and the City of Findlay.

We use cookies to analyze website traffic and optimize your website experience. By accepting our use of cookies, your data will be aggregated with all other user data.